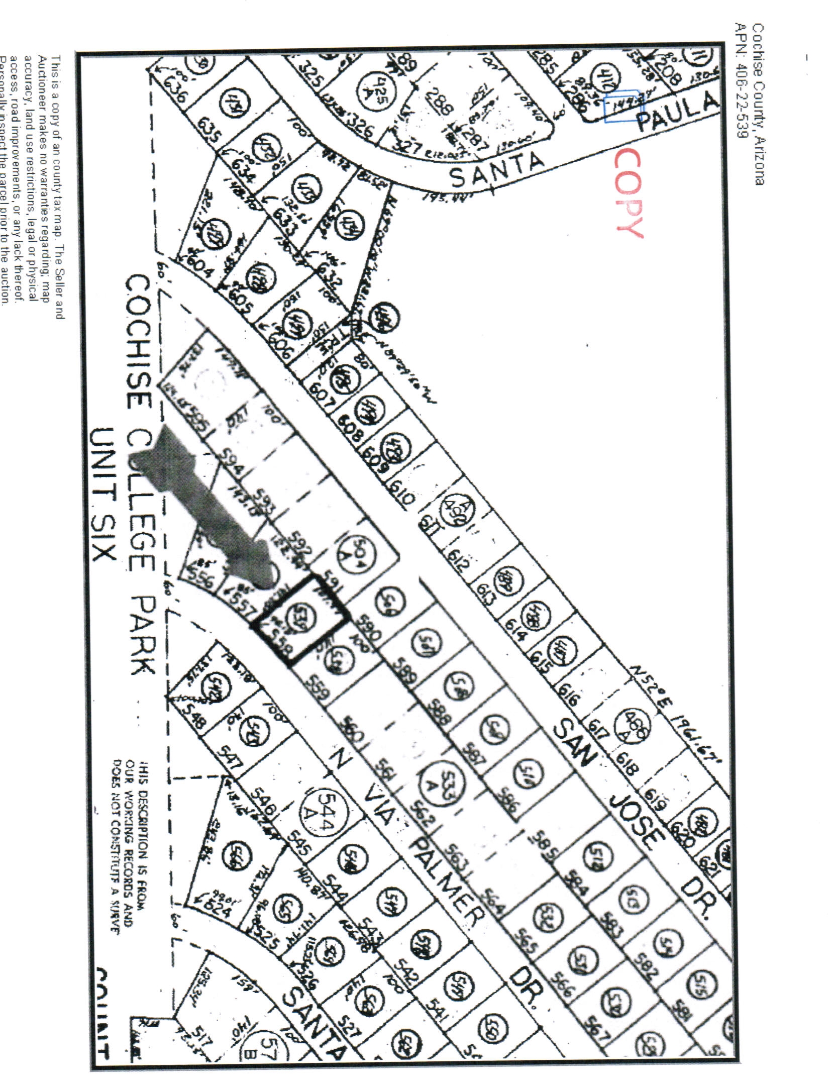
Cochise County Parcel Map

Cochise County, located in southeastern Arizona, is known for its stunning landscapes and rich history. Whether you’re a resident or planning to visit, understanding the local parcel map can enhance your experience and help you navigate the area.

The Cochise County parcel map is an essential tool for anyone interested in property details, land use, and zoning regulations. It provides valuable information that can assist in making informed decisions about real estate and land management.

cochise county parcel map

cochise county parcel map

Understanding the Cochise County Parcel Map

The Cochise County parcel map offers a comprehensive view of land ownership and property boundaries. This map is crucial for prospective buyers, developers, and even local residents who want to know more about their surroundings.

Accessing the parcel map is straightforward. You can find it online through the Cochise County Assessor’s website. The interactive features allow users to zoom in on specific areas, making it easier to locate properties of interest.

In addition to property lines, the parcel map includes information about zoning classifications. This data helps individuals understand what types of developments are permissible in certain areas, which is vital for planning any construction or renovation projects.

Using the Cochise County parcel map can also aid in understanding local amenities and resources. By identifying nearby schools, parks, and businesses, you can get a better sense of community life in Cochise County.

Exploring the Cochise County parcel map opens up a world of possibilities for residents and visitors alike. With its detailed information and user-friendly interface, navigating this beautiful region becomes much more manageable and enjoyable.

Arizona Land Company Land For Sale In Cochise County Arizona APN 406 22 539

Arizona Land Company Land For Sale In Cochise County Arizona APN 406 22 539

Planning Zoning Commission Cochise County AZ

Planning Zoning Commission Cochise County AZ

Zones Cochise County Record

Zones Cochise County Record

Cochise County To Update The Mid Sulphur Springs Valley Community Plan Willcox Range News Myheraldreview

Cochise County To Update The Mid Sulphur Springs Valley Community Plan Willcox Range News Myheraldreview

Leave a Comment